سوسک هیتلری
سوسک هیتلری (نام علمی: Anophthalmus hitleri) نام یک گونه از سرده سوسکهای بیچشم است.
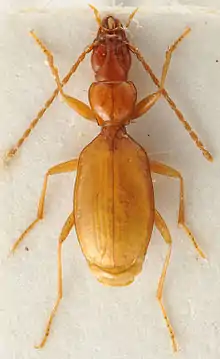
| سوسک هیتلری | |
|---|---|
![]() | |
| سوسک هیتلری، Anophthalmus hitleri | |
| وضعیت بقا | |
ارزیابینشده (IUCN 3.1) | |
| آرایهشناسی | |
| فرمانرو: | جانوران |
| شاخه: | بندپایان |
| رده: | حشره |
| راسته: | قاببالان |
| تیره: | سوسکهای زمینی |
| سرده: | سوسکهای بیچشم |
| گونه: | A. hitleri |
| نام علمی | |
| Anophthalmus hitleri | |
منابع
- مشارکتکنندگان ویکیپدیا. «Anophthalmus hitleri». در دانشنامهٔ ویکیپدیای انگلیسی، بازبینیشده در ۳ آوریل ۲۰۱۷.
This article is issued from Wikipedia. The text is licensed under Creative Commons - Attribution - Sharealike. Additional terms may apply for the media files.
