چدن
چدنها (به انگلیسی: Cast Irons) خانواده ای از آلیاژهای آهنی هستند که از آهن، کربن (از ۲٫۱۱٪ تا تقریباً ۴٫۵٪) و سیلیسیم (تا ۳٫۵٪) تشکیل میشوند. چدنها معمولاً حاوی ۲٫۰ تا ۴٫۰٪ کربن، ۰٫۵ تا ۳٫۰٪ سیلیسیم، کمتر از ۱٫۰٪ منگنز و کمتر از ۰٫۲٪ گوگرد هستند. عنصر سیلیسیم باعث ایجاد چندین اثر متالورژی در این آلیاژ میشود. سیلیسیم با ترویج تشکیل یک اکسید سطحی کاملاً چسبنده، مقاومت در برابر اکسیداسیون و خوردگی چدنها را افزایش میدهد. به همین دلیل، چدنها بهطور کلی مقاومت در برابر خوردگی بالاتری از اکثر فولادها دارند.[1]
چدنها، به استثنا نوع داکتیل، تا حدودی شکننده هستند و به دلیل داشتن نقطه ذوب پایین، سیالیت بالا، قابلیت ریختهگری آسان، قابلیت ماشین کاری بالا، تغییرشکل ناپذیری و مقاومت به سایش بالا، به موادی مهندسی با دامنه وسیعی از کاربردها تبدیل شدهاند و در تولید انواع لولهها، ماشین آلات، قطعات مورد استفاده در صنعت خودروسازی مانند سرسیلندر، بلوک سیلندر و جعبه دنده به کار میروند. چدنها همچنین در برابر تخریب ناشی از اکسایش و زنگ زدگی مقاومت بالایی دارند.

وجه تمایز چدنها و فولادها، درصد کربن موجود در آنهاست به نحوی که آلیاژ آهن حاوی تا ۲ درصد کربن را فولاد و آلیاژ آهن حاوی ۲ الی ۶٫۶۷ درصد کربن را چدن مینامند. کربن موجود در چدنها به صورت گرافیت در زمینه پراکندهاست و این در حالی است که کربن در فولادها به صورت ترکیب بین فلزی سمنتیت (Fe3C) ظاهر میشود و به این دلیل خواص مکانیکی و فیزیکی و شیمیایی فولادها با چدنها متفاوت است.
از آنجایی که سیلیسیم بهطور جزئی جایگزین کربن میشود (هر دو عنصر در خارجیترین لایه الکترونی خود ۴ الکترون والانس دارند) دیاگرام فازی سهگانه ترکیب سه تایی آهن-کربن-سیلیسیم را میتوان با یک نمودار دوفازی بسیار سادهتر جایگزین کرد در صورتی که مقیاس وزن-درصد-کربن با یک کربن معادل جایگزین شود. برای محاسبه این کربن معادل چندین فرمول وجود دارد اما سادهترین آنها درصد وزنی کربن به اضافه یک سوم درصد وزنی سیلیسیم است:[1]
کربن معادل (CE)= درصد وزنی کربن+یک سوم درصد وزنی سیلیسیم
با استفاده از کربن معادل، از نمودار آهن-کربن دو-جزئی میتوان برای تعیین نقاط ذوب و محاسبه ریزساختارهای آلیاژهای سه جزئی آهن-کربن-سیلیسیم استفاده کرد. سیلیسیم همچنین باعث افزایش شکلگیری گرافیت به عنوان فاز پر-کربن به جای شکلگیری ترکیب بین فلزی سمنتیت (Fe3C) میشود. در نتیجه واکنش یوتکتیک دو احتمال متمایز خواهد داشت:[1]
در نتیجه ریزساختار نهایی چدن، یا حاوی ترکیب بین فلزی غنی از کربن Fe3C خواهد بود، یا حاوی کربن خالص در شکل گرافیت خواهد بود. رخ دادن هر کدام از این حالتها بستگی به ترکیب شیمیایی فلز و چندین متغیر فرایند دیگر دارد. از بین این دو، گرافیت فاز پایدارتری است و ساختار تعادلی واقعی است. تشکیل آن با خنک کاری آهسته، درصد کربن و سیلیسیم بالا، جدارهها و مقاطع ضخیم و سنگین، روشهای تلقیح، و وجود گوگرد، فسفر، آلومینیم، منیزیم، آنتیموان، قلع، مس، نیکل، و کبالت تقویت میشود. از طرف دیگر تشکیل سمنتیت (Fe3C) با خنک کاری سریع، درصد کربن و سیلیسیم پایین، مقاطع نازک، و افزودن عناصر آلیاژی تیتانیم، وانادیم، زیرکونیم، کروم، منگنز و مولیبدن تقویت میشود.[1]
تولید چدن

چدن از طریق ذوب مجدد سنگ آهن به همراه آهن و فولاد قراضه بدست میآید و با طی مراحلی برای حذف عناصر ناخواسته مانند فسفر و گوگرد همراه است. بسته به نوع کاربرد، میزان کربن و سیلیسیم تا حد مطلوب (به ترتیب ۲ تا ۳٫۵ و ۱ تا ۳ درصد وزنی) کاهش داده میشوند. سایر عناصر نیز حین ریختهگری و قبل از شکلگیری نهایی، به مذاب افزوده میشوند. چدن به جز موارد خاص که در کوره بلند موسوم به کوره کوپل ذوب میشود، عمدتاً در کورههای القای الکتریکی تولید میگردد. پس از تکمیل ذوب، مذاب به کوره نگهدارنده یا قالب ریخته میشود.
طبقهبندی چدنها
چدنها معمولاً بر اساس ریختشناسی انجماد آنها از دمای یوتکتیک نامگذاری میشوند:[2] اولین طبقهبندی انجام شده برای چدنها در گذشته بر اساس رنگ سطح مقطع شکست آنها انجام گرفت. بر این اساس چدنها به دو دسته کلی تقسیم شدند:[3]
- چدن سفید: از آنجا که در این چدنها، شکست در امتداد صفحات کاربید آهن رخ میدهد، سطح مقطع شکست کریستالی آنها سفید است.
- چدن خاکستری: در این چدنها، شکست در امتداد صفحات گرافیت رخ میدهد، به همین دلیل سطح مقطع شکست کریستالی آنها خاکستری است.
با ابداع متالوگرافی و با افزایش دانش در مورد چدنها، طبقهبندیهای دیگری بر اساس ساختار کریستالی آنها امکانپذیر شد:[3]
- بر اساس شکل گرافیت: گرافیت لایه ای (FG)، گرافیت کروی (SG)، گرافیت فشرده یا کرمی شکل (CG)، گرافیت آبدیده (TG)؛ ساختار گرافیت آبدیده یا تمپر گرافیت از طریق یک فرایند حالت-جامد ایجاد میشود که به آن مالیبل سازی (malleabilization) گفته میشود.
- بر اساس ماتریس: فریتی، پرلیتی، آستنیتی، مارتنزیتی، باینیتی (آستمپر شده)

چدن خاکستری

چدن خاکستری ریزساختار گرافیتی خاصی دارد که باعث میشود مقطع شکست آن به رنگ خاکستری باشد. در این نوع چدنها تمامی یا قسمت اعظم کربن به صورت آزاد (گرافیت) رسوب میکند. از نظر وزنی رایجترین نوع چدن و پرکاربردترین ماده ریختهگری محسوب میشود. چدن خاکستری عمدتاً حاوی ۲٫۵ تا ۴ درصد کربن، ۱ تا ۳ درصد سیلیسیم و مابقی آهن است. این نوع چدن استحکام کششی و مقاومت به شوک کمتری نسبت به فولاد دارد اما از نظر استحکام فشاری با فولاد کربنی کم و میان کربن قابل مقایسه است.
چدن داکتیل

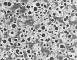
چدن داکتیل یا چدن نشکن که در گذشته چدن نودولار یا گرافیت کروی نیز خوانده میشد، چدنی است که در آن گرافیت به شکل کرههایی کوچک میباشد. در چدن داکتیل، مانند چدن خاکستری، گرافیت یوتکتیک در حین فرایند انجماد از آهن مذاب جدا میشود، اما با اضافه کردن مواد افزودنی خاص به مذاب قبل از ریختهگری، گرافیت به شکل کرههایی رشد میکند و شباهتی به گرافیتهای شکل گرفته در چدن خاکستری ندارد. چدن حاوی گرافیت کره ای بسیار قوی تر از چدن خاکستری یا چدن مالیبل است و قابلیت کشیده شدن و تغییر طول بیشتری قبل از شکست ناگهانی نسبت به آنها دارد. میتوان این ماده را به عنوان یک ماده کامپوزیت طبیعی در نظر گرفت، که در آن گرافیت کروی خواص منحصر به فردی به چدن داکتیل دادهاست.[5]
استحکام و چقرمگی نسبتاً زیاد چدن داکتیل در بسیاری از کاربردهای ساختاری، نسبت به چدن خاکستری یا چدن مالیبل، به آن برتری میبخشد. همچنین از آنجایی که چدن داکتیل برای تولید کلوخههای گرافیت (graphite nodules) نیازی به عملیات حرارتی ندارد (در حالیکه چدن مالیبل برای تولید کلوخههای تمپر-کربن به عملیات حرارتی نیاز دارد)، میتواند با چدن مالیبل رقابت کند. هر چند برای تولید این کلوخهها به یک عملیات تلقیح نیاز است. بازده قالب (Mold yield) (یعنی نسبت وزن قطعه ریختگی به وزن قالب[6]) در چدن داکتیل نسبت به چدن مالیبل معمولاً بالاتر است. چدن داکتیل را میتوان با استانداردهای اشعه ایکس تولید کرد زیرا تخلخل در مرکز حرارتی باقی میماند، اما چدن مالیبل نمیتواند تخلخل را تحمل کند زیرا حفرهها به سطح نقاط گرم مانند فیلتها مهاجرت میکنند و به صورت ترک ظاهر میشوند.[5]
شکلگیری گرافیت در حین انجماد با یک افزایش حجم همراه است که میتواند کاهش حجم ناشی از تغییر فاز مایع-به-جامد را خنثی کند. قطعات ریختهگری چدن داکتیل معمولاً در هنگام ریختهگری به رایزرهای بسیار کمی نیاز دارند. (رایزرها مخازنی از ماده مذاب در داخل قالب هستند که در هنگام انقباض قطعه در اثر انجماد، آن را تغذیه میکنند تا عیوب ناشی از انقباض ایجاد نگردد). چدنهای خاکستری معمولاً نیازی به رایزر ندارند. در عوض، فولادها و چدن مالیبل در هنگام ریختهگری به رایزربندی فراوان و سنگینی نیاز دارند.[7]
از مزایای چدن داکتیل میتوان به راحتی ریختهگری و ماشینکاری و نسبت استحکام به وزن فوقالعاده بالای آن اشاره کرد. همچنین هزینه ریختهگری چدن داکتیل از فولاد بسیار کمتر است.[8]
چدن سفید
سطح مقطع شکست چدن سفید به دلیل وجود فاز سمنتیت، سفید رنگ است. به دلیل درصد کربن کمتر و خنک کاری سریع تر، کربن در چدنهای سفید به جای گرافیت، به شکل سمنتیت (Fe3C) که یک فاز شبه-پایدار است، رسوب میکند. سمنتیت رسوب کرده از مذاب به شکل ذرات بزرگی در فاز یوتکتیک تشکیل میشود. فاز دیگر این نوع چدن آستنیت است که طی فرایند انجماد به مارتنزیت تبدیل میشود. این کاربیدهای یوتکتیک درشت تر از آن هستند که سخت گردانی رسوبی ایجاد کنند (مانند برخی فولادها که رسوب سمنتیت، با ممانعت از حرکت نابجاییها در فاز زمینه فریت، از تغییر شکل پلاستیک جلوگیری میکند). اما تا حدودی به دلیل سختی خود ذرات سمنتیت که بخشی از حجم ماده را اشغال میکنند، سختی کل افزایش مییابد بهطوریکه سختی چدن سفید بر اساس قانون مخلوطها برآورد میشود. در هر صورت سمنتیتها سختی را افزایش و چقرمگی را کاهش میدهند. از آنجا که کاربید بخش بزرگی از ماده را میگیرد، چدن سفید را میتوان نوعی سرمت به حساب آورد. چدن سفید برای بسیاری مصارف بیش از حد ترد است ولی به لطف سختی خوب، مقاومت به سایش بالا و قیمت پایین در ساخت قطعاتی چون سطوح در معرض سایش (مانند پروانه توربین)
در سیستم آهن-کربن پایدار، تمامی کربن به صورت گرافیت ظاهر میشود.
چدن مالیبل

چدن مالیبل یا چدن چکش خوار، ذاتاً از نوع چدنهای هیپو یوتکتیکی کم آلیاژی یا غیر آلیاژی هستند. جهت ایجاد گرافیتهای کروی فشرده و حصول خواص مکانیکی مانند استحکام و چکش خواری، عملیات آنیل کردن انجام میگیرد. پس از ریختهگری، کربن این چدنها به شکل ترکیبی (ترکیب با آهن) بوده و قطعات به صورت چدن سفید درآمده که با فرایند حرارتی بخصوصی به چدن مالیبل تبدیل میشوند.
کربن این نوع چدن بیشتر بهصورت کرههایی (کلوخه) از گرافیت و با اشکال نامنظم میباشد. چدن چکشخوار ابتدا به صورت چدن سفید و با ترکیب شیمیایی مناسب ریخته میشود. سپس به هنگام آنیل از سمنتیت چدن سفید، گرافیت جوانه زده و به صورت کروی رشد میکند. با تغییر دادن عملیات آنیل، میتوان چدن چکش خوار با خواص مکانیکی مختلف به دست آورد، از آنجا که ابتدا برای تولید چدن سفید انجماد سریعی لازم است لذا ضخامت قطعات چدن چکش خوار محدود است.

پس از اتمام مرحله اول آنیل، ساختار دارای کربن برفکی در زمینه آستنیت اشباع شده از کربن بوده و در مرحله دوم میتوان با تنظیم سرعت سرد کردن ساختار را از فریت تا پرلیت تغییر داد. شکل گرافیت در چدن مالیبل (چکش خوار) کروی نبوده و به شکل برفکی میباشد.
متالوژی چدنها
هدف متالورژیست طراحی فرایندی برای تولید چدن با ساختاری است که خواص مکانیکی مورد انتظار را به همراه داشته باشد. مهمترین عواملی که بر روی ساختار چدنها تأثیر میگذارد موارد زیر است:[5]
- ترکیب شیمیایی
- نرخ خنک سازی
- عملیات بر روی مذاب
- عملیات حرارتی
| نوع چدن | درصد عنصر | ||||
|---|---|---|---|---|---|
| کربن | سیلیسیم | منگنز | فسفر | گوگرد | |
| چدن خاکستری | ۲٫۵–۴٫۰ | ۱٫۰–۳٫۰ | ۰٫۲–۱٫۰ | ۰٫۰۰۲–۱٫۰ | ۰٫۰۲–۰٫۲۵ |
| چدن گرافیت فشرده | ۲٫۵–۴٫۰ | ۱٫۰–۳٫۰ | ۰٫۲–۱٫۰ | ۰٫۰۱–۰٫۱ | ۰٫۰۱–۰٫۰۳ |
| چدن داکتیل | ۳٫۰–۴٫۰ | ۱٫۸–۲٫۸ | ۰٫۱–۱٫۰ | ۰٫۰۱–۰٫۱ | ۰٫۰۱–۰٫۰۳ |
| چدن سفید | ۱٫۸–۳٫۶ | ۰٫۵–۱٫۹ | ۰٫۲۵–۰٫۸ | ۰٫۰۶–۰٫۲ | ۰٫۰۶–۰٫۲ |
| چدن مالیبل | ۲٫۲–۲٫۹ | ۰٫۹–۱٫۹ | ۰٫۱۵–۱٫۲ | ۰٫۰۲–۰٫۲ | ۰٫۰۲–۰٫۲ |
معماری چدنی
تاریخچه
نوعی از معماری است که چدن در آن نقش اصلی را ایفا میکند. این سبک، سبکی برجسته در انقلاب صنعتی بود یعنی زمانی که چدن نسبتاً ارزان بود و فولاد هنوز فراگیر نشده بود. در اوایل عصر انقلاب صنعتی از چدن در ساخت کارخانهها اغلب استفاده میشد تا حدودی به خاطر فکر اشتباهی که میکردند و آن این بود که این ساختارها ضدآتشاند. چون به قدر کافی برای تحمل ابزار آلات سنگین مقاوم است. اما در مقابل آتش که معمولاً در این کارخانهها اتفاق میافتد آسیبپذیر است. چدن همچنین بسیار در ساخت پل برای سیستمهای جدید راهآهن که اغلب نتایج وحشتناکی داشت به کار میرفت. بعدها هم در خط ریلهای زیر پل استفاده شد که خطرات بسیاری داشت و جان چندین نفر را گرفت. معماری چدن برای چندین قرن استفاده میشد. به خصوص در معماری پیش از مدرن در قرن ۱۸ انگلستان برای اولین بار روشهای تولید جدید چدن به صورت فراوان و ارزان در ساختمانهای بزرگ را به کار برد. یکی از اولین و مهمترین پلهای آهنی در شوپ شایر احداث شد که تقریباً تمام ساختار آن با چدن ساخته و تنظیم شده بود. کیفیت چدن استفاده شده در پل زیاد بالا نبود و نزدیک به ۸۰ ترک ترد در ساختار آن مشاهده شدهاست.[9]
موارد استفاده
برای ساخت پل، لولهها، درپوش چاههای خیابان، ماشین آلات و بسیاری چیزهای دیگر تا زمان جایگزین شدن فولاد استفاده میشد. شکل توسعه یافته اش به عنوان خرپای سقف، شاغول کردن، خطوط گازی و هم چنین پنجرههای دکوراتیو استفاده میشدهاست.[10]
معایب و مزایا
چدن دارای مزیتها و معایبی در معماری است. در فشردهسازی قوی و در کشش و خمش ضعیف است. مقاومت و سختی آن مخصوصاً در حرارت بالا (هنگام آتشسوزی) بسیار پایین میآید.
جستارهای وابسته
منابع
- J. T. Black, Ronald A. Kohser (۲۰۲۰). DeGarmo's Materials and Processes in Manufacturing. ۱۳. John Wiley & Sons. صص. ۶۳–۶۴. شابک ۱-۱۱۹-۷۲۳۲۹-۹.
- Serope Kalpakjian. Manufacturing Engineering and Technology (ویراست ۶). Pearson. صص. ۱۱۰. شابک ۰-۱۳-۳۱۲۸۷۴-۱.
- ASM Handbook: Irons, Steels and High-performance Alloys. Properties and selection. Vol. correct 1. ASM International. ۱۹۹۵. صص. ۱۳–۱۴. شابک ۰-۸۷۱۷۰-۳۷۷-۷.
- «Mechanical Properties of Gray Iron - Damping Capacity». www.atlasfdry.com. دریافتشده در ۲۰۲۰-۱۱-۰۷.
- ASM Handbook: Irons, Steels and High-performance Alloys. Properties and selection. Vol. correct 1. ASM International. ۱۹۹۵. صص. ۱۵–۲۴. شابک ۰-۸۷۱۷۰-۳۷۷-۷.
- Shinde, Vasudev D.; Joshi, Durgesh; Ravi, B.; Narasimhan, K. (2013-06-01). "Optimization of Mold Yield in MultiCavity Sand Castings". Journal of Materials Engineering and Performance. 22 (6): 1574–1581. doi:10.1007/s11665-012-0458-y. ISSN 1544-1024.
- ASM Handbook: Irons, Steels and High-performance Alloys. Properties and selection. Vol. correct 1. ASM International. ۱۹۹۵. صص. ۹۰. شابک ۰-۸۷۱۷۰-۳۷۷-۷.
- «Ductile Iron». Reliance Foundry Co. Ltd (به انگلیسی). ۲۰۲۰-۰۳-۱۰. دریافتشده در ۲۰۲۰-۱۱-۰۶.
- آشنایی با معماری معاصر. پارامتر
|first1=بدون|last1=در Authors list وارد شدهاست (کمک) - [www.aoc.gov.com «Cast Iron»] مقدار
|نشانی=را بررسی کنید (کمک).
| در ویکیانبار پروندههایی دربارهٔ چدن موجود است. |


