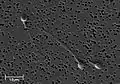
اسپرماتوزون
اسپرماتوزون (یونانی باستان: σπέρμα) یا اسپرماتوزویید، برگرفته از واژههای یونانی به معنای «دانه» (σπέρμα) و موجود «زنده» (ζῷον)، سلول متحرک اسپرم یا شکل متحرک یاخته پلوئیدیِ گامت نر است. اسپرماتوزون، تخمک را بارور میکند تا یاخته تخم تشکیل شود (یاخته تخم، یاخته تنهایی است که تمام کروموزومها را داراست و بهصورت طبیعی، به رویان مبدل میشود.)
| اسپرماتوزون | |
|---|---|
![]() | |
![]() دیاگرام اسپرماتوزون انسان | |
| جزئیات | |
| شناسهها | |
| لاتین | spermatozoon |
| MeSH | D013094 |
سلولهای اسپرم تقریباً نیمی از اطلاعات ژنتیکی فرزند پلوئیدی را (به جز در اکثر موارد، دیانای میتوکندریایی) به ارث میگذارند. در پستانداران، جنسیت فرزندان بهدست سلولهای اسپرم تعیین میشود: به این صورت که اسپرماتوزون حامل کروموزوم ایکس، منجر به تولید فرزند ماده میشود (XX) و اسپرماتوزون حامل کروموزوم Y، فرزند نر تولید میکند (XY). سلولهای اسپرم (اسپرماتوزون) اولین بار توسط آنتونی فان لیوونهوک در ۱۶۷۷ دیده شدند.[1]
نگارخانه
منابع
- "Timeline: Assisted reproduction and birth control". CBC News. Retrieved 2006-04-06.
- مشارکتکنندگان ویکیپدیا. «Spermatozoon». در دانشنامهٔ ویکیپدیای انگلیسی، بازبینیشده در ۱۰ آوریل ۲۰۱۷.



_-_Spermler_(idrar)_-_01.png.webp)
_-_Spermler_(idrar)_-_02.png.webp)
._Natuurkundige_te_Delft_Rijksmuseum_SK-A-957.jpeg.webp)